Nova vest

tropska oluja

Društvo

Spremite se – juri ka nama

Srbiju je zahvatio novi toplotni talas. Ovog poslepodneva temperature na jugoistoku Srbije i u južnom delu Velikog Pomoravlja dostižu 37 stepeni, u Beogradu je 32 °C. Još vrelije je na jugozapadu Evrope, uz temperature iznad 40 stepeni.

17:17

8.8.2025.

238 d

Svet

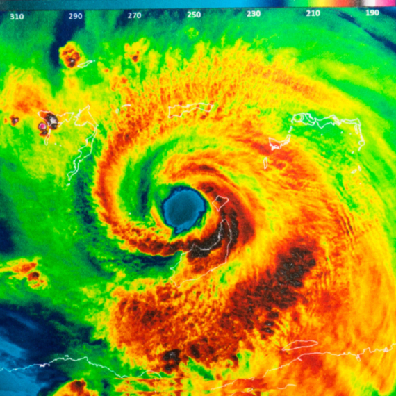
Naređena hitna evakuacija – stiže! VIDEO

Američka savezna država Florida sprema se za novi uragan Milton, koji se kreće ka kopnu, i to u vreme kada se celi jugoistok SAD oporavljaju od prošlonedeljnog razornog uragana Helena.

10:55

7.10.2024.

544 d

Svet

Stiže nova oluja: Proglašeno vanredno stanje VIDEO

Guverner Floride proglasio je vanredno stanje u 35 okruga zbog pretnje tropske oluje Milton ovoj američkoj državi koja je još uvek u šoku nakon snažnog uragana Helene koji je tamo nedavno ostavio za sobom 14 mrtvih.

10:27

6.10.2024.

545 d

Svet

Večeras će ih pogoditi; Panika, zatvoren aerodrom

Tropska oluja zahvatiće večeras centralni Vijetnam, donoseći obilne kiše koje bi mogle da izazovu poplave, saopštila je meteorološka agencija te azijske zemlje, ubrzo nakon što je severne regione pogodio tajfun Jagi u kojem je više od 290 ljudi poginulo.

10:47

19.9.2024.

562 d

Svet

Kraj katastrofe? VIDEO

Snažna tropska oluja napustila je danas područje severnih Filipina nakon što je najmanje 14 ljudi izgubilo živote u klizištima, poplavama i nabujalim rekama, saopštili su filipinski zvaničnici sektora za vanredne situacije i prirodne katastrofe.

7:11

3.9.2024.

578 d

Izdvajamo

Info – najvažnije vesti iz Srbije i sveta | B92.net

Život – zanimljivosti, istorija, nauka i inspirativne priče | B92.net

Najnovije Novo Sport Sport B92 Video Video Meni Menu